family CERAMBYCIDAE Latreille, 1802
subfamily CERAMBYCINAE Latreille, 1802
tribe Clytini Mulsant, 1839
genus Plagionotus Mulsant, 1842
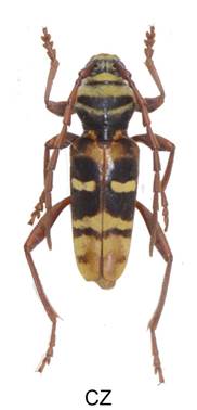
Plagionotus arcuatus (Linnaeus, 1758)










Velikost 8-20 mm.
Bionomie. Listnaté porosty, staré ovocné sady. Napadá odumírající a čerstvě vytěžené dřevo, slabé větve od 2 cm až po kmeny silné přes 100 cm.. Larva se vyvíjí pod kůrou a pro kuklení si vyhlodá hákovitou komůrku. Téměř vždy vstupní chodba je shodná s výletovou. Na Sorbus torminalis jsem našel vedle ucpané vstupní chodby většinu samostatných výletových chodeb. Kukelní komůrka je obvykle v hloubce 2-4 cm, vzácně 6-8 cm. Výjimečně se kuklí v silné kůře, nebo pod kůrou. Zimuje jako larva. Vývoj jsem zjistil téměř výhradně jednoletý, velmi malý počet malých a slabých larev pokračuje v žíru a kuklí se až druhým rokem. - Imaga se líhnou často již koncem IV. Venku se vyskytují V.-VII (koncem IV. jsem chytil více vyrojených imag na Pyrus – Praha Vypich). Maximum druhá polovina V. až počátek VI. Imaga na dříví, za teplého počasí pobíhají po kůře, část imag je skryta ve štěrbinách, nebo pod dřívím. Nejde na květy.
Živné rostliny - Převážně Quercus, nalezl jsem ho i v Pyrus a Sorbus torminalis Sr., v Řecku na Castanea; Populus, Robinia, Betula, Carpinus, Fagus, Salix caprea.
Variabilita. Žluté pásky na krovkách bývají redukovány, nebo se žluté zbarvení naopak rozšiřuje, až se některé pásky spojují..
Plagionotus detritus (Linnaeus, 1758)







Velikost 10-21 mm.
Bionomie. Listnaté lesy, stromořadí kolem cest a na hrázích starých rybníků, staré pastevní lesy. Vývoj larev pod kůrou kmenů i silných větví odumírajících, nebo čerstvě pokácených stromů. Dává přednost starým mohutným stromům se silnou hrubou kůrou. Larvy vyžírají chodby mezi kůrou a dřevem, před zakuklením si vyhlodávají hákovitou kukelní komůrku ve dřevě. Když je kůra silná, kuklí se v ní, zřídka přímo pod kůrou. Vývoj jednoletý, některé menší larvy se na jaře nekuklí a předrží do dalšího roku. To odpovídá částečně Demeltovi (1966), který uvádí dvouletý vývoj. - Imaga se vyskytují v VI. - VIII., maximum konec VI. a počátek VII. Převážně je možné je najít na spodní straně složeného dřeva, méně často pobíhající po dřevě. Tippmann (1952) pozoroval za tmy silné rojení imag, tento jev je častý i v našich zemích (Třeboňsko, Štúrovo). Imaga nejdou na květy.
Živné rostliny - Zejména Quercus, též Castanea (Řecko). Demelt (1966) zjistil velmi silné napadení Betula.
Variabilita. Žluté zbarvení pásek na krovkách se někdy rozšiřuje, až se pásky spojují. Někdy se mění základní zbarvení i chloupkování na bázi krovek. Vzácně jsou celá imaga šedě chloupkována.
Plagionotus arcuatus Linnaeus, 1758 CZ Quercus



CZ Sorbus torminalis


Plagionotus detritus Linnaeus, 1758 CZ Quercus

